6519 70 Avenue S, Horace, ND 58047

$51,590
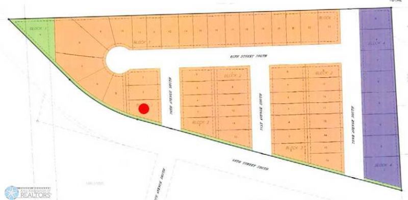
  • 6519 70 Avenue S, Horace, ND 58047 Main Photo

1 Total Photos [Click to View All]

Active
LOT SIZE 0.187 acres MLS#6690625
STATUSActive PROPERTY TYPELand - Residential SUBDIVISIONSouthdale Farms 6th Add SCHOOLWest Fargo

Property Description

56 lots total are available to choose from!

6519 70 Avenue S | MLS# 6690625

This land located at 6519 70 Avenue S, Horace, ND 58047 is currently listed for sale with an asking price of $51,590. The property has approximately 0.19 Acres. 70 Avenue S is located within the West Fargo school district. Search Horace real estate on www.beyondrealtyfm.com today.

Property Features

Property Type: Land - Residential
Lot Size: 0.19 Acres
Taxes: $592

Feature Descriptions

Days on Site: 343
Development Status: Finished Lot(s)
Improvements: Paved Streets, Public Road
Land Inclusions: Abstract, Platted
Lot Dimensions: irregular
Topography: Level
Utilities: Electricity Available, Electricity Connected, Natural Gas Available, Natural Gas Connected, Sewer Available, Sewer Connected, Water Available, Water Connected

Local Schools

School District: West Fargo

Listed By / Shown By

Listed By

Agency Name: Dakota Plains Realty
Agency Phone: 701-566-7080

Shown By

Agency Title: Beyond Realty
Agency Phone: 701-540-5161

IDX logo

Estimate Your Payment

Estimated Payment

$ 179.20 per month $114.82 Principal & Interest $49.33 Property Tax $15.05 Homeowner's Insurance

Change Payment Information

%
years/fixed
yearly
yearly (est.)
(Payments are an estimate and may vary by lender)

Login to My Homefinder

Pixel